前回の石垣島ツアーは波照間島に渡れず、残念でした。
実はこの日は石垣空港最後の日
でも 最後というより
夜も盛り上がっていました
オリオンビールであり乾杯!
出だしは順調です!
今度は人数多いです!
サトウキビは至る所に落ちています
美味しいよ(^^)
黒島や竹富島と違って与那国は坂があります
頑張れ!!
キターっ!!
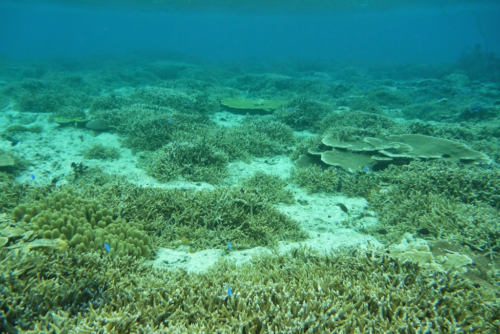
海に入るなら 今でしょ!
そして珊瑚礁へ!
昨年、息子とここで泳いで、興奮した息子が陸に上がって言った一言が
「サンゴがレインボー」
デザートは中底さんちの泡盛アイス
個人的にも大満足の波照間でした
そして石垣に着くと速攻で早めの夕食
食後、自由参加でホテルの近くの公園へ
おめでとう!新空港!
この日は新石垣空港の開港日
著作権にひっかかるとややこしいので歌はアップしませんが
無料で近くで生歌聞けて幸せです!
後日のYouTubeにも ま、本人にしか何処にいるか分からないでしょうが・・・。
この日この場所にいられて幸せでした!
お昼は石垣の定番ジューシーかまぼこ
ん??
よくわからない?
これは金城かまぼこの名作
炊き込みご飯をかまぼこでくるんだもの
写真はドライカレーをイカスミ入かまぼこでくるんだもの
天候にも恵まれてイベントにも恵まれて楽しい4日間でしたね〜!














































