春休みは八重山へ!
子供達は初めての沖縄旅行
楽しい思い出がいっぱいできるといいけど。
4/2
神戸空港から那覇経由で出発
なんと、1A〜1Dの席!
ラッキー!!!
デザートはロイズのパイナップル生チョコ!
これは速攻でなくなりました(^^)
石垣に到着したらすぐにホテルへ。
おやすみ!明日から遊ぶぞ(^^)
4/3
波照間島へ!
ここの路線は欠航が多いけど、無事に出港!よかった、よかった。
けっこう波高かったなぁ
うちの子は船酔いに鈍感ですが、敏感な人には1時間の地獄(^_^;)
部屋に入るとすぐにスコールが・・・。でもすぐやんでよかった!
こういう張り紙がのんびりした島の旅を予感させてくれる(^^)
レンタル自転車1台 1000円×4台 レンタカー1台 4800円
借りるなら レンタカーでしょ!!
食後は泳ぎに
ちょっと曇って肌寒く・・・
しかし、子供は関係ない!!



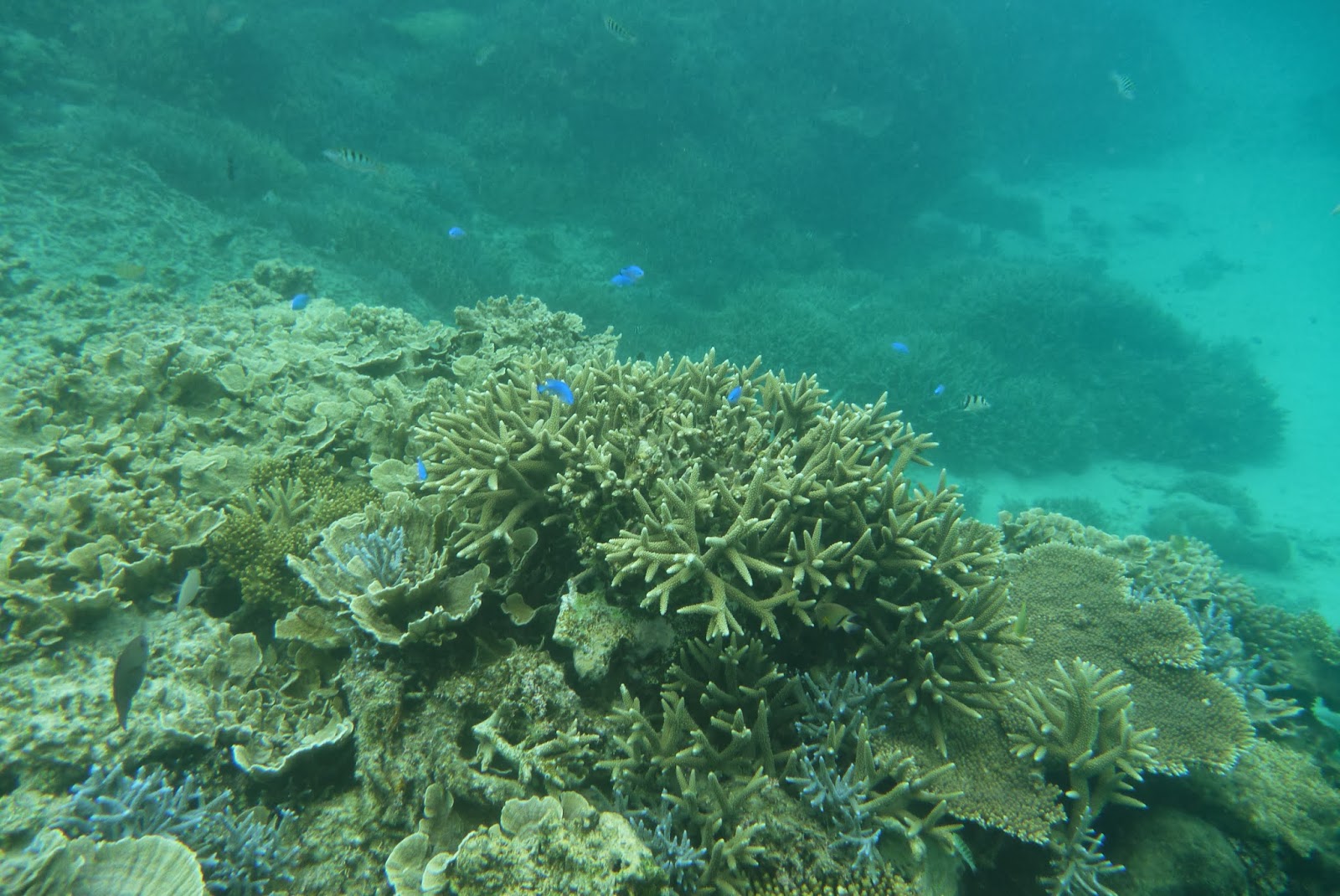
この海を見て息子が言ったのは
「サンゴがレインボー」(^^)
たしかにこれまで連れていった、バリやプーケットよりずっときれいです!


八重山にはヤギが多い 草刈もしてくれるし、美味しいもんね!
子供は大喜び!

波照間の黒砂糖は美味しい!
それならサトウキビも美味しいはず(^^)
おじいにもらって ガシガシやりました!


夜は日本で一番南の星空観測センターへ
でも、娘は星よりヤギが気になる・・・(^^)
4/4
個人的には団体観光客のための施設なので、嫌いだけど
由布島へ行きたいというので・・・
おっさん歌下手すぎ・・・。この仕事してるのにありえん・・・。
ま、島に行きたいというより、水牛に触りたかったんだね(^^)
本日のお泊り
星砂のキャンプ場に到着
貸切でした!!!
いっぱい干さなきゃ(^^)

夜はちょっといい感じのレストランへ。ほんとに西表島??って雰囲気
し・か・し
娘のチョイスはフライドポテト・・・・なんでやねん!
速攻で、海に行く準備!
学校の準備もそれくらい素早くしておくれ・・・。




4/6
最後の日
石垣で一番有名な川平湾へ行くも
関心なし。波照間のほうがキレイだよだって・・・。
それよりブルーシールのアイスクリーム































